Baugebiet '2026_Gewerbegebiet Aischbach II - Vergabe eines freien Grundstücks' 72070 Tübingen

Bewegen Sie die Maus über die Grundstücke, um Details zu den einzelnen Grundstücken zu erfahren.


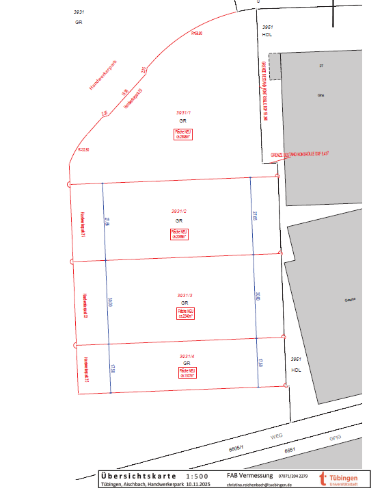
Grundstück: 2066 m² Gewerbe-Grundstück im Aischbach II
Status: verfügbar
Größe: 2066 m2
Preis: 402.870,00 €
Vollgeschosse: + UG + OG
GFZ:
GRZ: 0,9
Dachform: Flachdach
Bauweise: Bürogebäude, Lager- und Werkhalle
Nutzungsart: Gewerbegebiet
Grundstücksdetails in neuem Fenster öffnen

2026_Gewerbegebiet Aischbach II - Vergabe eines freien Grundstücks

Das Verfahren zur Vergabe des letzten Grundstücks im Gewerbegebiet Aischbach II ist nun eröffnet.

Die Universitätsstadt Tübingen hat am westlichen Ortsrand von Tübingen Gewerbeflächen vermarktet, die das bestehende Gewerbegebiet „Handwerkerpark beim Aischbach“ erweitern. Mit dem Bebauungsplan „Aischbach Teil II“ wurde 2025 die Grundlage für die Ausschreibung und Vergabe der Grundstücke geschaffen.


Weitere Angaben

Lage

Am westlichen Ortsrand von Tübingen.

Baugrund

Es wurden archäologische Sondierungen durch geführt. Die im Lageplan "Schnittplan mit Messdaten" gekennzeichneten Bodenproben wurden nicht nachträglich verdichtet. Eine Nachverdichtung in den betroffenen Bereichen muss von den Erwerbern eigenständig vorgenommen werden.

Altlasten

Es sind keine Altlasten bekannt

Einschränkungen

Es gilt der Bebauungsplan "Aischbach Teil II" als zeichnerischer Teil mit seinen textlichen Festsetzungen und den örtlichen Bauvorschriften. Den Bebauungsplan finden Sie in den Dokumenten. Die baulichen Angaben dienen grundsätzlich zur Orientierung.

Weitere Unterlagen zum Bebauungsplanverfahren können Sie hier abrufen: Bebauungsplan Aischbach Teil II mit örtlichen Bauvorschriften in Tübingen; erneuter Aufstellungsbeschluss und Beschluss über das frühzeitige Beteiligungsverfahren 

Den Bebauungsplan finden Sie hier:

Bebauungsplan



Bildergalerie



Grundstücke

Folgende Grundstücke werden in diesem Baugebiet vermarktet.


Ansprechpartner

Johannes Schleh
Universitätsstadt Tübingen

Telefon: 07071 / 204-132307071 / 204-1323
E-Mail: Johannes.Schleh@tuebingen.de


Ansprechpartner für baurechtl. Fragen

Johannes Schleh
Universitätsstadt Tübingen

Telefon: 07071 / 204-132307071 / 204-1323
E-Mail: Johannes.Schleh@tuebingen.de

Anbieterinformationen

Verantwortlich für Inhalte und Angebote dieser Seite: Universitätsstadt Tübingen

Impressum des Anbieters Datenschutzrichtlinie des Anbieters


Dokumente

Sonstige Dokumente

Fakten

Stadt / Gemeinde: Universitätsstadt Tübingen
Nutzungsart: Gewerbegebiet
Angebotstyp: Verkauf
Preis: ab 195,00 €/m2
Grundstücksgrößen: ab 2066 m2 bis 2066 m2
Grundstücke in Baugebiet: 1
Freie Grundstücke: 1
Bebauungsplan rechtskräftig seit: n/a
Baugebiets-Id: BG2640
Bauzwang:
Erschließungsdatum: seit dem 31.08.2025
Einheimischenklausel:
Maximale Gebäudehöhe: 13 m

Infrastruktur

Wasserversorgung
Gas
Energieversorgung
Nah- oder Fernwärme

Kommunikation

Kabelanschluss
VDSL
Glasfaseranschluss
DSL

Umgebung

Ärzte
Schwimmbäder / Badeseen
Alten- und Pflegeheime
Spielplätze
Kinderkrippe
Mobiler Pflegedienst
Krankenhäuser / Kliniken
Einkaufsmöglichkeiten
Sozialstationen
Sporteinrichtungen
Kindergarten
Öffentlicher Personennahverkehr
Kitas
Schulen