
| Grundstück: | Parzelle Sonnensiedlung - EFH |
| Status: | reserviert |
| Größe: | 545 m2 |
| Preis: | 218.000,00 € |
| Nutzungsart: | Allgemeines Wohngebiet |
1 verfügbares Baugrundstück zur Bebauung eines Einfamilienhauses steht zum Verkauf.
Zeitraum der Gebotsabgabe: 20.01.2026 - 20.02.2026
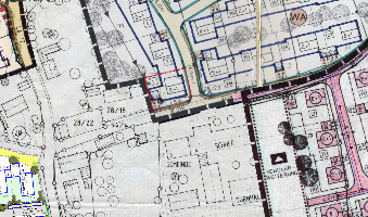
Das Grundstück befindet sich in der Schulstraße 4 in Vilsheim.
Bei Fragen zu den Bebauungsmöglichkeiten wenden Sie sich bitte an Herrn Wachtel:
Tel.: 08706 9485-13
Mail: michael.wachtel@vilsheim.de
Nicht gefunden was Sie suchen?
Zurück zum Stadtportal von VilsheimFolgende Grundstücke werden in diesem Baugebiet vermarktet.
Parzelle Sonnensiedlung - EFHSonnensiedlung - 2. Gebotsrunde - 1 Grundstück zur Bebauung eines Einfamilienhauses in Vilsheim, Vilsheim Größe: 545 qm |
545 qm |
Kaufpreis 218.000,00 € Preis je Quadratmeter 400,00 €/m2 Verkauf |
Verantwortlich für Inhalte und Angebote dieser Seite: Gemeinde Vilsheim
Dokumente |
|---|
| Pläne |
| Richtlinien und Vorschriften |
Fakten |
|
|---|---|
| Stadt / Gemeinde: | Vilsheim |
| Nutzungsart: | Allgemeines Wohngebiet |
| Angebotstyp: | Verkauf |
| Preis: | ab 400,00 €/m2 |
| Grundstücksgrößen: ab 545 m2 | |
| Grundstücke in Baugebiet: | 1 |
| Freie Grundstücke: | 0 |
| Bebauungsplan rechtskräftig seit: | n/a |
| Baugebiets-Id: | BG2589 |
| Bauzwang: | |
| Erschließungsdatum: | nicht bekannt |
| Einheimischenklausel: | |
Infrastruktur |
|
|---|---|
| Nah- oder Fernwärme | |
| Energieversorgung | |
| Wasserversorgung | |
| Gas | |
Kommunikation |
|
| Glasfaseranschluss | |
| Kabelanschluss | |
| DSL | |
| VDSL | |
Umgebung |
|
| Kindergarten | |
| Mobiler Pflegedienst | |
| Schulen | |
| Kinderkrippe | |
| Schwimmbäder / Badeseen | |
| Spielplätze | |
| Krankenhäuser / Kliniken | |
| Sporteinrichtungen | |
| Ärzte | |
| Öffentlicher Personennahverkehr | |
| Sozialstationen | |
| Kitas | |
| Einkaufsmöglichkeiten | |
| Alten- und Pflegeheime |