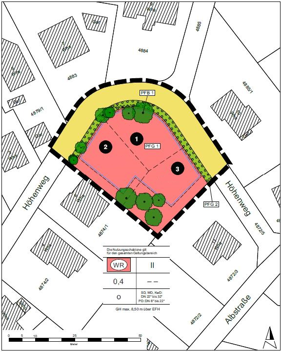
| Grundstück: | Grundstück Nr. 1 |
| Status: | reserviert |
| Größe: | 487 m2 |
| Preis: | 53.034,30 € |
| Nutzungsart: | Reines Wohngebiet |

| Grundstück: | Grundstück Nr. 2 |
| Status: | verfügbar |
| Größe: | 524 m2 |
| Preis: | 57.063,60 € |
| Nutzungsart: | Reines Wohngebiet |
| Grundstück: | Grundstück Nr. 3 |
| Status: | reserviert |
| Größe: | 572 m2 |
| Preis: | 62.290,80 € |
| Nutzungsart: | Reines Wohngebiet |
Das Baugebiet liegt in ruhiger Wohnlage im östlichen Teil von Meßstetten. Die drei neu geschaffenen Grundstücke befinden sich auf einer ehemaligen öffentlichen Grünanlage.
Für die drei Grundstücke in Mitten des Baugebiet "Am Berg- Lautlinger Weg - Hinter dem Berg" in Meßstetten wurde im Jahr 2023 das Baurecht geschaffen.
Die Erschließung des Baugrundstücks ist über den nördlich gelegenen und halbkreisförmig verlaufenden „Höhenweg“ gesichert. Die relativ ebene Fläche kann zu einem attraktiven Wohnstandort entwickelt werden, welches sich in einer ruhigen Wohnlage und dennoch zentrumsnah befindet.
Lage
Die Grundstücke befinden sich im östlichen Ortsteil von Meßstetten auf einer Höhe von 955 – 957 m ü. N.N..
Einschränkungen
Die in der Pflanzzeichnung mit PFB 1 gekennzeichneten Einzelbäume sind dauerhaft zu erhalten und zu pflegen.
Nicht gefunden was Sie suchen?
Zurück zum Stadtportal von MeßstettenFolgende Grundstücke werden in diesem Baugebiet vermarktet.
Grundstück Nr. 1Am Berg - Lautlinger Weg - Hinter dem Berg in Meßstetten, Meßstetten Größe: 487 qm |
487 qm |
Kaufpreis 53.034,30 € Preis je Quadratmeter 108,90 €/m2 Verkauf |
|
Grundstück Nr. 2Am Berg - Lautlinger Weg - Hinter dem Berg in Meßstetten Größe: 524 qm |
524 qm |
Kaufpreis 57.063,60 € Preis je Quadratmeter 108,90 €/m2 Verkauf |
|
Grundstück Nr. 3Am Berg - Lautlinger Weg - Hinter dem Berg in Meßstetten, Meßstetten Größe: 572 qm |
572 qm |
Kaufpreis 62.290,80 € Preis je Quadratmeter 108,90 €/m2 Verkauf |
Verantwortlich für Inhalte und Angebote dieser Seite: Meßstetten
Dokumente |
|---|
| Pläne |
| Richtlinien und Vorschriften |
Fakten |
|
|---|---|
| Stadt / Gemeinde: | Meßstetten |
| Nutzungsart: | Reines Wohngebiet |
| Angebotstyp: | Verkauf |
| Preis: | ab 108,90 €/m2 |
| Grundstücksgrößen: ab 503 m2 bis 573 m2 | |
| Grundstücke in Baugebiet: | 3 |
| Freie Grundstücke: | 1 |
| Bebauungsplan rechtskräftig seit: | 03.02.2023 |
| Baugebiets-Id: | BG2161 |
| Bauzwang: | |
| Erschließungsdatum: | nicht bekannt |
| Einheimischenklausel: | |
| Maximale Gebäudehöhe: | 8,5 m |
Infrastruktur |
|
|---|---|
| Nah- oder Fernwärme | |
| Wasserversorgung | |
| Gas | |
| Energieversorgung | |
Kommunikation |
|
| DSL | |
| Kabelanschluss | |
| VDSL | |
| Glasfaseranschluss | |
Umgebung |
|
| Spielplätze | |
| Krankenhäuser / Kliniken | |
| Kindergarten | |
| Sporteinrichtungen | |
| Alten- und Pflegeheime | |
| Kinderkrippe | |
| Ärzte | |
| Mobiler Pflegedienst | |
| Schulen | |
| Öffentlicher Personennahverkehr | |
| Kitas | |
| Schwimmbäder / Badeseen | |
| Einkaufsmöglichkeiten | |
| Sozialstationen |