Allmendstraße

Grundstücks-Info

Beschreibung

Allmendstraße


Fakten

Nutzung Gewerbegebiet
Angebotsart Verkauf
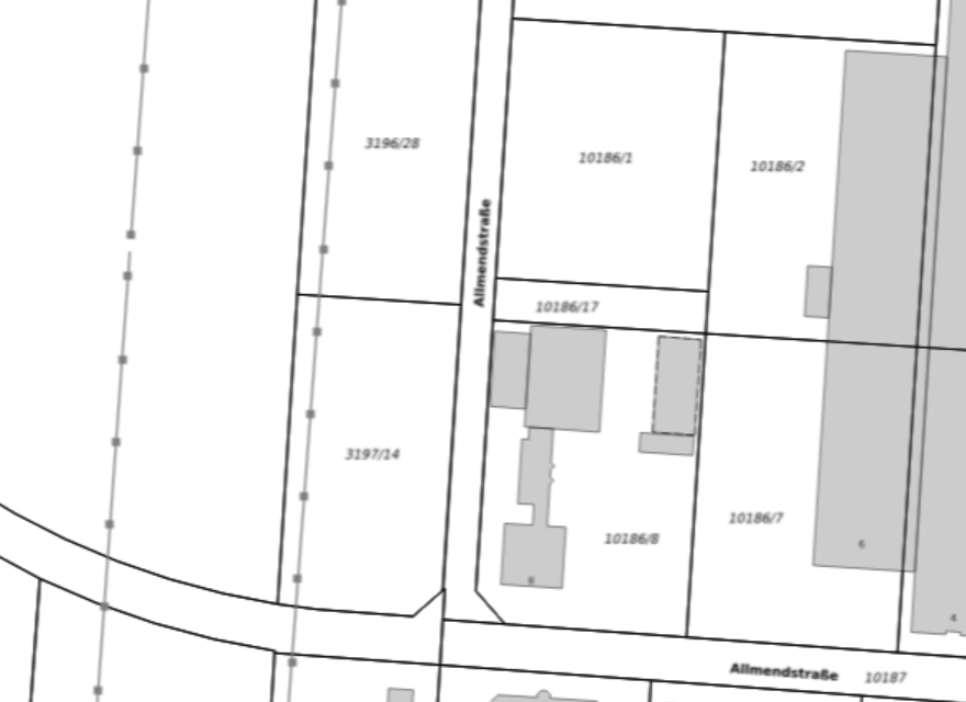
Fläche 2971 qm
Quadratmeterpreis 120,00 €/m2
Kaufpreis 356.520,00 €
Kaufpreis
Flurstücknummer 3197/14
Straße / Hausnummer Allmendstraße
Bebauungsplan rechtskräftig seit n/a
Erschließungsdatum nicht bekannt
Bauzwang
Haustypen
Dachformen
Dachneigung
GFZ
GRZ
Vollgeschosse
Einheimischenklausel
Anbieter Stadt Herbolzheim

Infrastruktur

Alten- und Pflegeheime
Ärzte
Einkaufsmöglichkeiten
Kindergarten
Kinderkrippe
Kitas
Krankenhäuser / Kliniken
Mobiler Pflegedienst
Öffentlicher Personennahverkehr
Schulen
Schwimmbäder / Badeseen
Sozialstationen
Spielplätze
Sporteinrichtungen

Kommunikation

DSL
Glasfaseranschluss
Kabelanschluss
VDSL

Umgebung

Energieversorgung
Gas
Nah- oder Fernwärme
Wasserversorgung


Objekt-Nr.: GR14884
Grundstücksgröße: 2971 qm
Kaufpreis : 356.520,00 €
Kaufpreis inkl. Erschließungskosten, inkl. Entwässerungskosten, inkl. Hausanschlusskosten, inkl. Vermessungskosten, inkl. Kostenerstattungsbetrag



Ansprechpartner

Dies ist ein privates Angebot!


Peter Müller
Rechnungsamtsleiter
Stadt Herbolzheim

Telefon: 07643/9177-40007643/9177-400
Telefax: 07643/9177-180
E-Mail: bauplatzbewerbung@stadt-herbolzheim.de

Ansprechpartner für baurechtl. Fragen

Michael Weber
Stv. Bauamtsleiter
Stadt Herbolzheim

Telefon: 0 76 43 91 77 8100 76 43 91 77 810
Telefax: 0 76 43 91 77 880
E-Mail: bauplatzbewerbung@stadt-herbolzheim.de



Rechtlicher Hinweis für den Ausschluss der Maklerfunktion

Stadt Herbolzheim stellt den Service der Plattform auch für Anbieter und Interessenten von gewerblichen und/oder privaten Angeboten zur Verfügung. Sie übernimmt keine Maklerfunktion. Für die Inhalte der Angebote, das heißt die Korrektheit und Vollständigkeit der Angaben übernehmen wir keine Haftung.

Anbieterinformationen

Verantwortlich für Inhalte und Angebote dieser Seite: Stadt Herbolzheim

Impressum des Anbieters Datenschutzrichtlinie des Anbieters